2 dogs had their hips x-rayed today
Stjernes hofter / Stjerne's hips:
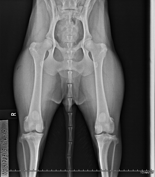
Orcas hofter / Orca's hips:
| Stjerne og Orca hjemme igjen etter HD-røntgen Stjerne and Orca back home after their hip x-rayes |
I dag ble Snøfrost Skimrende Stjernelys, "Stjerne" og Snøfrost Ymer den digre Orca, "Orca", HD røntget på Grenland Dyreklinikk.
Det offisielle resultatet fra NKK vil ta noen dager, men bildene så fine ut.
Jeg synes alltid det er skummelt å sedere hundene, men det gikk bra også denne gangen. Stjerne og Orca er nok fortsatt litt øre i hodet etter sederingen og er litt slappe og trøtte i kveld. I morgen er nok all effekt av sederingen ute og alt er tilbake til det normale.
Det offisielle resultatet fra NKK vil ta noen dager, men bildene så fine ut.
Jeg synes alltid det er skummelt å sedere hundene, men det gikk bra også denne gangen. Stjerne og Orca er nok fortsatt litt øre i hodet etter sederingen og er litt slappe og trøtte i kveld. I morgen er nok all effekt av sederingen ute og alt er tilbake til det normale.
Today Snøfrost Skimrende Stjernelys, "Stjerne" and Snøfrost Ymer den digre Orca, "Orca", was hip x-rayed at Grenland Dyreklinikk.
The official result from NKK will take a few days, but the pictures looked good.
The official result from NKK will take a few days, but the pictures looked good.
I always find it a bit scary to sedate the dogs, but it went well this time too. Stjerne and Orca seems to still feel some of the effects of the sedation, they are a bit tired and docile this evening. Tomorrow the sedation effect will have worne off, and everything will be back to normal
Orcas hofter / Orca's hips:


Kommentarer
Legg inn en kommentar